Tag: vino
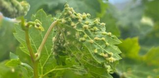
El Cabildo de La Gomera y el Consejo Regulador llevan a cabo una campaña informativa...
El Cabildo de La Gomera, a través del Área de Sector Primario, y el Consejo Regulador de la Denominación de Origen La Gomera, han...
Pymes y autónomos de La Gomera descubren cómo optimizar sus ventas a través de redes...
La quinta sesión de Wine & TICS, iniciativa impulsada por la Oficina Acelera pyme de Ashotel, dio ayer jueves el salto a La Gomera y centró...
La Gomera acogió el taller de acercamiento a la tecnificación vitivinícola de la ULL
La Cátedra de Agroturismo y Enoturismo de Canarias del Instituto Canario de Calidad Agroalimentaria y de la Universidad de La Laguna ha comenzado a...
El Cabildo apuesta por reforzar la actividad vitivinícola como vía de diversificación económica
El presidente del Cabildo, Casimiro Curbelo, junto a la consejera de Desarrollo Rural, Angélica Padilla, han avanzado, este sábado, la apuesta de la Institución...
La Universidad de La Laguna acogerá a las Denominaciones de Origen Protegidas de Vino del...
La Universidad de La Laguna se convertirá los próximos meses de febrero y marzo en el epicentro canario de los vinos reuniendo en el...
Vallehermoso celebrará San Andrés con una fiesta en la plaza de Los Rabones
Vallehermoso celebrará el próximo sábado el día de San Andrés, con una fiesta en la plaza de Los Rabones y que pretende recuperar la...




















